GLOBAL
El presidente de Estados Unidos, Donald Trump, afirmó este domingo en Kuala Lumpur
Los últimos tres de los 20 rehenes liberados con vida en el marco
La líder opositora venezolana y Premio Nobel de la Paz 2025, María Corina
Miles de ciudadanos tailandeses se congregaron este domingo en las calles de Bangkok
Dos semanas después de las lluvias e inundaciones que afectaron el centro-oriente de
El presidente de Brasil, Luiz Inácio Lula da Silva, calificó este domingo como
Un trágico accidente dejó nueve personas fallecidas y casi 30 heridas en la
Este domingo, los argentinos acudirán a las urnas para renovar la mitad de
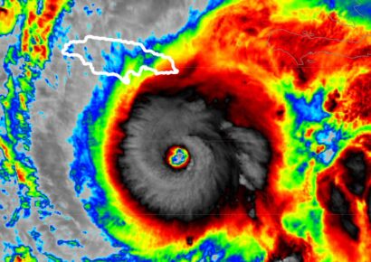
El huracán Melissa, de categoría 4, continúa su avance lento por el Caribe
El presidente de Argentina, Javier Milei, votó este domingo en las elecciones legislativas,














