Clima / Temporada de Huracanes
El Centro de Operaciones de Emergencias (COE) informó que mantiene una provincia en
El huracán Melissa, de categoría 2, se dirige este jueves hacia Bermudas, donde
El Instituto Dominicano de Meteorología (Indomet) informó este jueves que, aunque el huracán
El Instituto Dominicano de Meteorología (INDOMET) informó que el país continuará bajo la
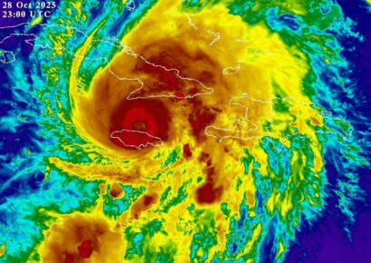
El huracán Melissa, de Categoría 5, que tocó tierra en Jamaica en el
El poderoso huracán Melissa, actualmente de categoría 3, tocó tierra este miércoles en
El predictor del Instituto Dominicano de Meteorología (INDOMET), Wagner Rivera, informó este martes
La República Dominicana sigue bajo alerta mientras los efectos indirectos del huracán Melissa,
El huracán Melissa, de categoría 5, tocó tierra en Jamaica causando graves daños
El huracán Melissa, de categoría 5, amenaza con convertirse en uno de los














